Skip to content

Tropical Storm Helene and your Disney World holiday

Prefer us on Google
Tropical Storm Helene has Hurricane potential

Tropical Storm Helene was born in the Caribbean Sea and is currently charting a path straight towards the Florida Pan Handle. This area does not directly include Disney World, which is in Orange County and Osceola County.

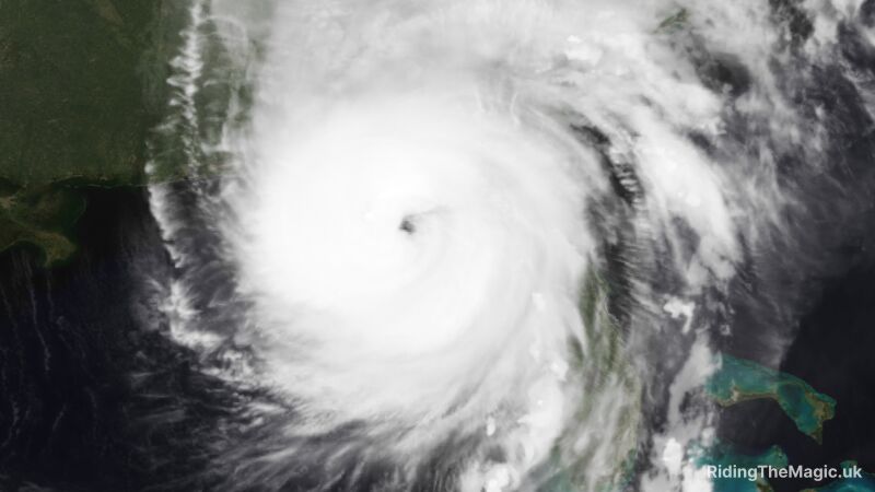
Helene’s path is not directly through Disney World as you can see in the image below, however her scope and destruction is likely to cause extreme weather conditions. Guests can expect heavy rain and strong winds that will likely last all day on Thursday. This forecast is subject to change as the situation in Florida develops.

A map from the National Hurricane Center shows Tropical Storm Helene’s probable path. Credit: National Hurricane Center/NOAA

Florida State Governor Ron De Santis declares a state of emergency in 61 of the 67 Florida States. CBS news reports the Gov. saying in a news conference at the state Emergency Operations Center: “I think the fact that this would be forecasted as a major (hurricane) at this point without formation, shows that this has a potential to be a really, really significant storm.”

Is Tropical Storm Helene a hurricane now?

At the time of writing, Helene is a Tropical Storm. However all news outlets report that her status will shift during Wednesday morning to a category 3 hurricane. We’ll keep you updated as we find out. Hurricanes are defined using the Saffir-Simpson Hurricane Wind Scale and Helene is looking like a category 3. You can expect the following from a category 3 hurricane:

  • Wind speed will be between 111 – 129 mph.

  • ‘Devastating damage’ is including uprooted trees and damage to property.

Tropical Storm Helene: what to expect in Disney right now

Local news channels and official channels have been advising Floridians to prepare for the hurricane, so guests staying in resort may also want to follow this guidance to make sure they are comfortable in their accommodation during the hurricane. As Brits, this kind of extreme weather is not something we are used to dealing with so it may feel a little overwhelming.

You will notice that phones receive updates while you are in Florida. Follow the advice that comes through and don’t panic. As the situation progresses over the next 24 hours more information will become available, so if you are in Florida it will be worth checking local weather reports on your phone or tuning into local broadcasts.

The best information we have found is directly through the CDC: Preparing for Hurricanes or Other Tropical Storms | Hurricanes | CDC. This site contains all you need to know about what will be going on locally and what will be happening in the homes around you if you are in a villa.

Information for UK visitors heading out to Orlando

At the time of publication no flights were facing cancellation, however the situation is changing. We recommend you keep an eye on your travel operator’s websites. Flights flying into any of Florida’s airports could be affected, including flights to and from:

  • Orlando International Airport (MCO)

  • Orlando Sanford International Airport (SFB)

  • Tampa International Airport (TPA)

  • Fort Lauderdale-Hollywood International Airport (FLL)

  • Miami International Airport (MIA)

  • Jacksonville International Airport (JAX)

The most common airport for UK visitors to Disney World to be heading to is Orlando International Airport (MCO). They do have their own real time flight information which UK visitors already in Disney World may find helpful to monitor. You can access that info by clicking on this link: Orlando International Airport (MCO) Real-Time Flight Information (arrowcast.net)

In the UK Virgin are currently the only airline with an active page with updates, although that is expected to change. If you are flying with Virgin Atlantic take a look at the page they are keeping updated. You can access that here to get information if your booking is with them. 

We recommend that you keep in touch with your airline provider to keep track of how Helene may affect your flights. Also check in with your insurer, to make sure that you have the right insurance cover.

Thursday 26th September at Disney World

On Thursday forecasters expect Tropical Storm Helene to make landfall as a hurricane in Florida. Disney have released the following information in relation to this:

“Walt Disney World Resort is currently operating under normal conditions. We are closely monitoring the path of the storm as we continue to prioritize the safety of our Guests and Cast Members.”

Disney World continues to be open on this date. However, new updates and information is coming through regularly as forecasters continue to monitor the Tropical Storm and her trajectory. All 4 Disney Parks are open on the My Disney Experience App and unless directed by the state it is unlikely that Disney World will close.

For those of you in Florida currently enjoying a Disney World holiday expect heavy rain all day Thursday so if you haven’t got one already, pick up a poncho. Some fast drying shoes may also be a good investment if you didn’t bring any with you. Also make sure you have some bottles of water and snacks in your hotel room, just in case it is needed.

Cancelling your holiday

If you are due to travel in the next 48 hours, have concerns and want to cancel your holiday, you will need to contact your booking agent and your travel insurer. If you have booked directly through Disney you may be able to move your holiday more readily. Find the current guidance from Disney about changing bookings in the event of hurricanes by visiting Disney’s Hurricane Warning FAQ page.

We’ll keep you updated as more information becomes available. In the meantime, stay safe out there folks.

Author

More News

View all